Courtash Kotton Kandy-Weser-Ems Mare by Courtash Karnivale

COURTASH KOTTON KANDY- WESER-EMS MARE IN FOAL TO LE ANDROS

COURTASH KOTTON KANDY- WESER-EMS MARE IN FOAL TO LE ANDROS


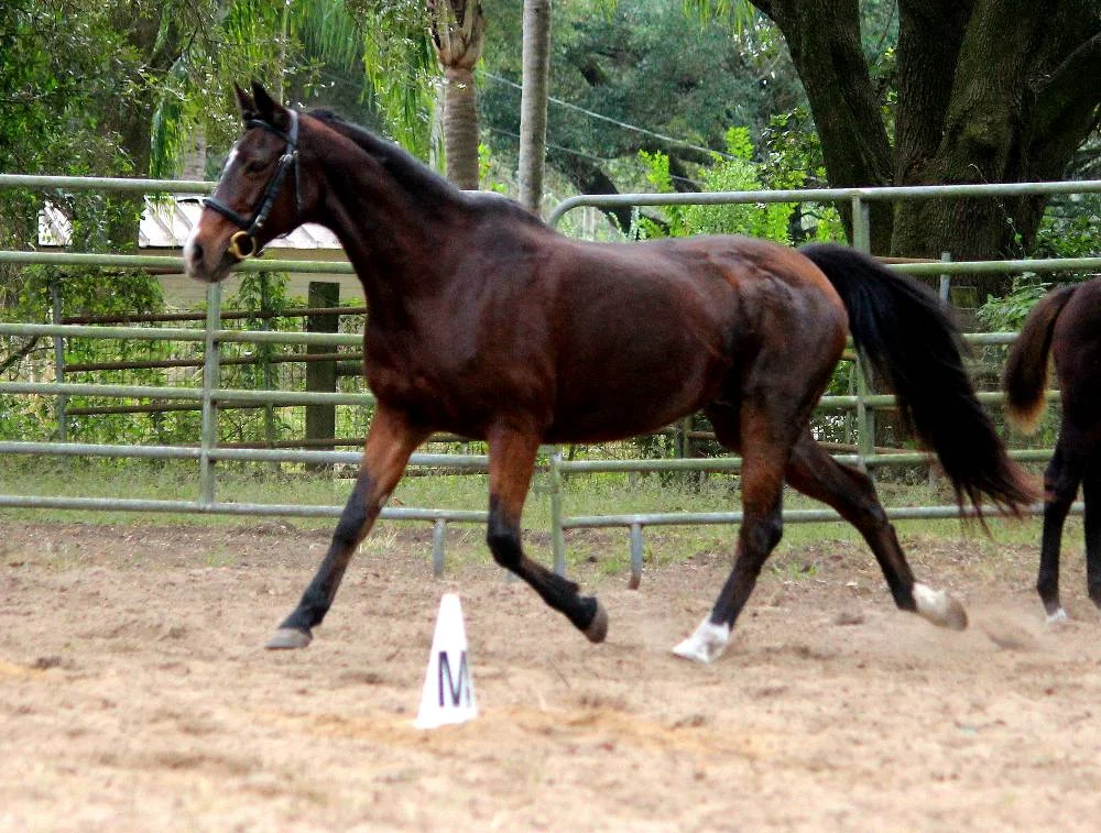
1998 Bay Mare - 13.3 hands with a star, stripe, snip and . 2 rear socks. Autumn is by the Welsh Pony Courtash Karnival and out of the Thoroughbred Mare Miss Hopey.

Courtash Kotton Kandy is Registered 1/2 Welsh and approved for breeding in the Main Mare Book for Weser-Ems, ISR/Oldenburg NA Sport Pony Registries, AWR and NASPR Registries. Autumn has had 5 Premium Weser-Ems foals to date. Autumn gave us an exceptional colt April 30, 2010, Bonofacio FLF, by the Weser-Ems Stallion Burberry who has gone on to become an approved Stallion himself with Weser-EMS (GOV). Autumn has been bred to our very own Registered Weser- Ems Stallion Le Andros for the last several years and has produced 6 Premium foals including one Premier Premium foal on this cross. The first two foals, Cleandra FLF and Looking Good FLF are competing in Dressage and Eventing. Cleandra has been seen Christmas Caroling with her AA Owner as well. We couldn’t be more pleased with the way these babies are turning out. Lazerati FLF has been lightly started under saddle and is awaiting his forever home. Carousel FLF has begun her ground work and can be started under saddle any time now. Curtain Call FLF - Gary’s favorite - is as personal as she can be and as exquisite a mover as the others. Last Call FLF, a Premier Premium foal, has moved over to Blazing Saddles Ranch as a companion to Falcone FLF who was purchased by Heather as her future Dressage horse. Last Call is enjoying lots of attention from the borders and stable hands at Blazing Saddles. He is destined to be a special boy!!!


Pedigree

 
COURTASH KARNIVAL PENDOCK MASTERPIECE SOLWAY MASTER BRONZE
PENDOCK PRUDENCE
FARNLEY CLOCHE FARNLEY BELLRINGER
FARNLEY WIMPLE
MISS HOPEY BIG STANLEY DISTINCTIVE PRO
SANS SUPPLEMENT
RENDE'S HOPE FABULOUS PLEASURE
ABE'S MISS